自然环境中鲜食葡萄快速识别与采摘点自动定位方法 |
| 朱衍俊, 杜文圣, 王春颖, 刘平, 李祥 |
|
Rapid Recognition and Picking Points Automatic Positioning Method for Table Grape in Natural Environment |
| ZHU Yanjun, DU Wensheng, WANG Chunying, LIU Ping, LI Xiang |
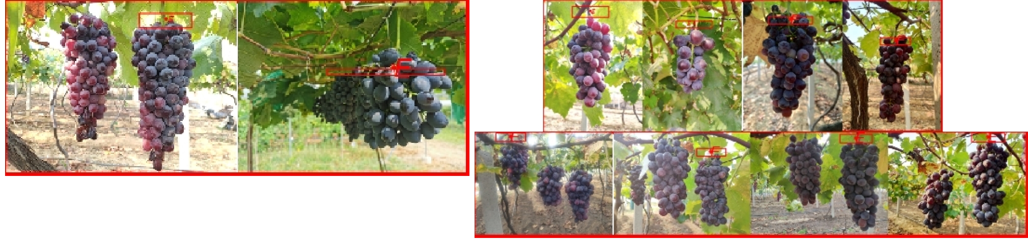
| 图11 部分葡萄定位结果图 |
| Fig.11 Part of grape positioning results |
|